Sold @ Auction £49,000

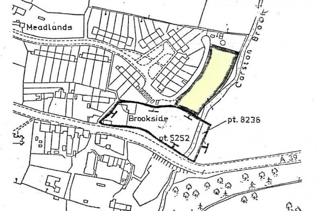
Land to the East of Meadlands, Meadlands, Corston, BA2 9AS


  • FOR SALE BY ONLINE AUCTION
  • VIDEO TOUR NOW ONLINE
  • LEGAL PACK COMPLETE
  • WEDNESDAY 14TH SEPTEMBER 2022
  • VIEWINGS - REFER TO DETAILS
  • SEPTEMBER LIVE ONLINE AUCTION
  • FREEHOLD PARCEL OF LAND
  • RANGE OF OUTBUILDINGS
  • 0.5 ACRE | RANGE OF USES
  • EXTENDED 8 WEEK COMPLETION

FOR SALE BY LIVE ONLINE AUCTION

*** SOLD @ SEPTEMBER AUCTION ***

GUIDE PRICE £10,000
SOLD @ £49,000

ADDRESS | Land to the East of The Meadlands, Corston, Bath BA2 9AS

Lot Number 2
The Live Online Auction is on Wednesday 14th September 2022 @ 17:30
Registration Deadline is on Monday 12th September 2022 @ 16:00

The Auction will be streamed LIVE ONLINE via the Hollis Morgan website & you can chose to bid by telephone, proxy or via your computer.
Registration is a simple online process – please visit the Hollis Morgan auction website and click “REGISTER TO BID”

VIEWINGS

The site is open for inspection at all times

EXTENDED COMPLETION

Completion is set for 8 weeks or earlier subject to mutual consent.

ONLINE LEGAL PACKS

** LEGAL PACK COMPLETE **

Digital Copies of the Online legal pack can be downloaded Free of Charge.
Please visit the Hollis Morgan Website and select the chosen lot from our Current Auction List.
Follow the RED link to "Download Legal Packs" For the first visit you will be required to register simply with your email and a password.
Having set up your account you can download legal packs or if they are not yet available, they will automatically be sent to you when we receive them.
You will be automatically updated by email if any new information is added.
There will be a note added to the list to confirm AUCTION PACK NOW COMPLETE when no further information is due to be added.
*** STAY UPDATED *** By registering for the legal pack we can ensure you are kept updated on any changes to this Lot in the build up to the sale.

EPC

For full details of the EPC please refer to the online legal pack.

PRE AUCTION OFFERS

On this occasion the vendors will not be considering pre auction offers.

SOLICITORS

Wards
Mr Matthew Pitt
Work 0117 9863504
Matthew.Pitt@wards.uk.com

THE PROPERTY

A Freehold parcel of amenity land with a range of outbuildings adjacent to the Corston Brook with pedestrian access from Meadlands.
To access the land travel to the end of Meadlands ( BA2 9AS )and take the pedestrian path - there is an auction board on the entrance to the land.
Sold with vacant possession.

LOCATION

Corston is a small charming village and civil parish close to the River Avon and situated on the A39 road in the Bath area. It has excellent access for Bristol and Bath and Saltford is less than two miles away or further amenities with a Waitrose, primary school and golf club. Also located two miles away is the popular restaurant pub, The Globe which serves a wide variety of drinks and food.

THE OPPORTUNITY

AMENITY / LEISURE LAND

A lovely opportunity to acquire circa 0.5 acre of amenity land with a range of outbuildings adjacent to the Corston Brook with scope for a wide range of leisure or equestrian activities subject to any consents.

STANDARD AUCTION INFORMATION

BUYER’S PREMIUM

Please be aware all purchasers are subject to a £1000 + VAT (£1,200 inc VAT) buyer's premium which is ALWAYS payable upon exchange of contracts whether the sale is concluded before, during or after the auction date.

GUIDE PRICE

An indication of the seller's current minimum acceptable price at auction. The guide price or range of guide prices is given to assist consumers in deciding whether to pursue a purchase. It is usual, but not always the case, that a provisional reserve range is agreed between the seller and the auctioneer at the start of marketing. As the reserve is not fixed at this stage and can be adjusted by the seller at any time up to the day of the auction in the light of interest shown during the marketing period, a guide price is issued. This guide price can be shown in the form of a minimum and maximum price range within which an acceptable sale price (reserve) would fall, or as a single price figure within 10% of which the minimum acceptable price (reserve) would fall. A guide price is different to a reserve price (see separate definition). Both the guide price and the reserve price can be subject to change up to and including the day of the auction.

RESERVE PRICE

The seller's minimum acceptable price at auction and the figure below which the auctioneer cannot sell. The reserve price is not disclosed and remains confidential between the seller and the auctioneer. Both the guide price and the reserve price can be subject to change up to and including the day of the auction.

REGISTRATION PROCESS

The registration process is extremely simple – visit the Hollis Morgan auction website and click on the “Register to Bid” button.
The “Register to Bid” button can be found on the auction home page or on the individual lot listings.
Please note this function is not available on Rightmove or Zoopla.

Stage 1 – Complete the Online Bidding Form
Stage 2 – Upload your certified ID
Stage 3 – Invitation to bid
Stage 4 – Pay your security deposit (£6,200)

You are now ready to bid – Good luck!

If your bid is successful, the balance of the deposit monies must be transferred to our client account within 24 hours of the auction sale.
If you are unsuccessful at the auction your holding deposit will be returned within 48 hours.

SURVEYS AND VALUATIONS

If you would like to arrange a survey or mortgage valuation of this Lot BEFORE the auction, please instruct your appointed surveyor to contact Hollis Morgan and we will arrange access for them to inspect the property. Please note that buyers CANNOT attend the surveys and the surveyors are responsible for collecting and returning keys to the Hollis Morgan offices in Clifton.

AUCTION FINANCE

Some properties may require specialist auction finance- please contact Hollis Morgan for access to expert advice and "whole of market" rates.

AUCTION BUYER’S GUIDE VIDEO

We have short video guides for both buying and selling by Public Auction on the Hollis Morgan Website. If you have any further questions regarding the process, please don’t hesitate to contact Auction HQ.

2022 CHARITY OF THE YEAR

Hollis Morgan is supporting Bristol Charity Gympanzees as our 2022 Charity of the year with a % of each Buyers premium being donated.
Gympanzees are a charity based in Bristol helping children and young people with disabilities to access fun, fitness, and friendship.
Visit the Hollis Morgan Charity page of our website for further details or the charity direct @ www.gympanzees.org

TESTIMONIALS

We are very proud of what our past clients have say about us - please visit the Hollis Morgan website to read their testimonials.

WHY HOLLIS MORGAN

Want to sell by auction?

Covid has meant dramatic adjustments to our working practices, famous for our large public auctions we have adapted by launching a monthly Live Online Auction service – an interactive platform for Buying & Selling all types of land and property.
A Live online auction has all the benefits of a traditional auction such as speed & transparency but with the advantage of being able to bid from anywhere with the auction streamed live on the Hollis Morgan website and the option to bid by telephone, proxy or online.
In 2020 we sold nearly 300 lots by this updated method - we have embraced this change and move forward with our 2022 live online calendar of sales confident we can provide the best service for our clients.

•In 2021 Hollis Morgan Sold More Lots by auction in Bristol, North Somerset & Gloucester than any other Auctioneer!
•In 2021 almost 40% of all the Auction Lots offered in Bristol, North Somerset and Gloucester were Sold by Hollis Morgan
•In 2021 over £47m was successfully sold under the hammer in Bristol, North Somerset & Gloucester by Hollis Morgan.
•Since 2010 Hollis Morgan have Sold More Lots by auction ( 1301 ) than any other local firm raising £336m!
*Source EIG 2022

We also offer…

•Bristol’s most experienced auctioneer Andrew Morgan MBE – with forty years’ experience on the rostrum.
•Auction specific premium adverts on both the UK’s biggest property portals Rightmove & Zoopla.
•Digital Mailing list of over 20,000 Local, National, Regional and International Developers, Investors and family buyers.
•Over 100 years combined property experience operating from our Regional HQ based in Clifton covering Bristol and the West Country.
•Innovative yet simple marketing techniques such as virtual tours, drone shots, video tours, hi vis signage and professional photos.
•Active and coordinated social media presence on Instagram, twitter, LinkedIn and Google retargeting programme.

Why Live Online Auction?

•Fixed Timescales & Speed - Exchange on the day with a quick & fixed completion of 4, 6 or 8 weeks.
•Closure & Control - 10% non refundable deposit taken upon exchange and the deal is done unlike a traditional sale.
•High Profile Sale – Intensive 4-6 week marketing campaign to make your lot visible and available to all potential buyers.
•Guaranteed Price - you set a minimum reserve which protects you from selling for any less than you want.
•Transparency & Competitive Bidding - Auction provides a transparency of sale ensuring your lot is sold to the person willing to pay the most on the day.

For loads more reasons to instruct Hollis Morgan and the statistics to back it up please visit our seling by auction section of the Hollis Morgan website.


AUCTION PROPERTY DETAILS DISCLAIMER

Hollis Morgan endeavour to make our sales details clear, accurate and reliable in line with the Consumer Protection from Unfair Trading Regulations 2008 but they should not be relied on as statements or representations of fact, and they do not constitute any part of an offer or contract. All Hollis Morgan references to planning, tenants, boundaries, potential development, tenure etc is to be superseded by the information contained in the legal pack. It should not be assumed that this property has all the necessary Planning, Building Regulation, or other consents. Any services, appliances and heating system(s) listed have not been checked or tested. Please note that in some instances the photographs may have been taken using a wide-angle lens. The seller does not make any representation or give any warranty in relation to the property, and we have no authority to do so on behalf of the seller.


Local Information

Schools Stations Healthcare
Floorplan for 0.5 ACRE | BA2