Sold @ Auction £95,000

Land @, 22 - 40, Harden Road, Stockwood, BS14 8PW

Bedrooms 12 Bathrooms 4 Reception 4

  • DEVELOPMENT SITE
  • PLANNING GRANTED ( LAPSED )
  • 0.394 ACRES
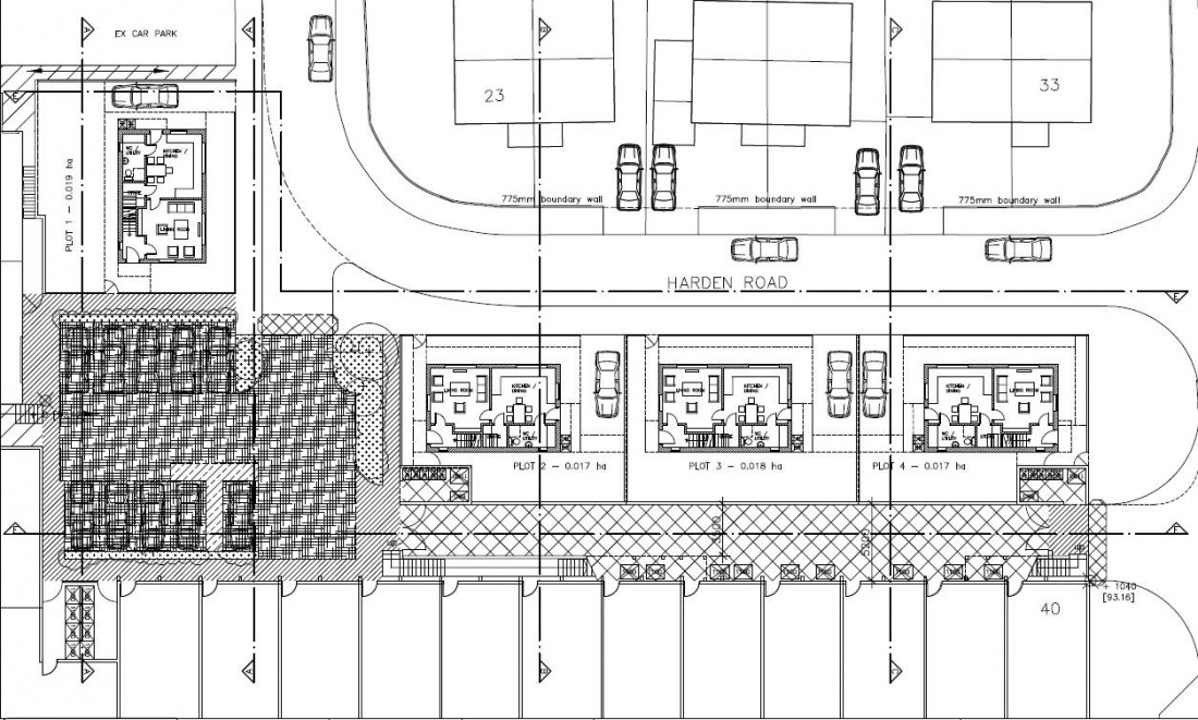
  • 4 X 3 BEDROOM HOUSES
  • CURRENTLY 45 PARKING SPACES

FOR SALE BY AUCTION

*** SOLD @ THE HOLLIS MORGAN FEBRUARY AUCTION ***

GUIDE £80,000 +++
SOLD @ £95,000

LOT NUMBER 27
Wednesday 27th February 2019
All Saints Church Pembroke Road, Clifton, Bristol BS8 2HY
Legal packs will be available for inspection from 18:00.
The sale will begin promptly at 19:00

THE PLOT

A Freehold parcel of land ( 0.39 Acres ) currently used as approx 45 car parking spaces.
Sold with vacant possession.

LOCATION

Stockwood is a residential area and council ward in South Bristol situated between Keynsham and Whitchurch. The land is located on the south side of Harden Road directly behind the parade of shops which fronts Hollway Road. A selection of local ameneties and convenience stores are readily available with more extensive facilities being available in Bristol City Centre approximately 4 miles to the north-west. The A4 (Bath Road) is available within a 10 minute drive to the east, affording convenient access to the cities of Bristol and Bath. Further communications are afforded by Rail at Bristol Temple Meads (5 miles) and Bristol International Airport (10 miles).

THE OPPORTUNITY

PLANNING GRANTED - LAPSED

Planning was granted in 2012 to erect a scheme of 4 x 3 bedroom detached houses.
The planning has now lapsed but offers huge potential for development subject to consents.

PLANNING GRANTED ( LAPSED )

Reference 11/04577/F
Alternative Reference PP-01689103
Application Received Tue 01 Nov 2011
Application Validated Tue 15 Nov 2011
Address Land At 22 - 40 Harden Road Bristol BS14 8PW
Proposal Development of four detached dwellings, with associated works that include the provision of bin stores, car parking, alteration to the steps to flats to the rear and associated highway works.
Status Decided
Decision GRANTED subject to condition(s)
Decision Issued Date Mon 12 Mar 2012

PLANNING INFORMATION

Full details of the scheme can be downloaded with the online legal pack.

SOLICITORS

Wards Solicitors
Ruby Sandhu
Work 0117 929 2811
jasbir.sandhu@wards.uk.com


Local Information

Schools Stations Healthcare
Floorplan for BUILDING PLOT - 4 x 3 BED HOUSES Floorplan for BUILDING PLOT - 4 x 3 BED HOUSES Floorplan for BUILDING PLOT - 4 x 3 BED HOUSES Floorplan for BUILDING PLOT - 4 x 3 BED HOUSES Floorplan for BUILDING PLOT - 4 x 3 BED HOUSES Floorplan for BUILDING PLOT - 4 x 3 BED HOUSES Floorplan for BUILDING PLOT - 4 x 3 BED HOUSES Floorplan for BUILDING PLOT - 4 x 3 BED HOUSES
EPC Graph for BUILDING PLOT - 4 x 3 BED HOUSES