Lot 36

Land to the West of, 45 Beechmount Drive, Weston-Super-Mare, BS24 9EZ

Sold @ Auction £130,000 +++

Bedrooms 3 Bathrooms 2 Reception 1

  • FOR SALE BY PUBLIC AUCTION
  • WEDNESDAY 28th NOVEMBER
  • ALL SAINTS CHURCH, CLIFTON, BS8 2HY
  • WEEKLY SET VIEWINGS
  • DOWNLOAD ONLINE LEGAL PACKS
  • NOVEMBER 2018
  • PLANNING GRANTED
  • ECO HOUSE
  • PRIVATE WOODLAND
  • EXTENDED 8 WEEK COMPLETION

FOR SALE BY AUCTION

*** SOLD PRIOR TO AUCTION ***

GUIDE £110,000 +++
SOLD @ £130,000

LOT NUMBER 36
Wednesday 28th November 2018
All Saints Church Pembroke Road, Clifton, Bristol BS8 2HY
Legal packs will be available for inspection from 18:00.
The sale will begin promptly at 19:00

EXTENDED COMPLETION

Completion is set for 8 weeks or earlier subject to mutual consent.

VIEWINGS

The land is open for an external inspection at all times.

SOLICITORS

Levi Dorrington
Cooke Painter
Gilda Parade Wells Road
Whitchurch Bristol BS14 9HY
01275 835 569

ONLINE LEGAL PACKS

Digital Copies of the Online legal pack can be downloaded Free of Charge.
Please visit the Hollis Morgan Website and select the chosen lot from our Current Auction List.
Follow the RED link to "Download Legal Packs" For the first visit you will be required to register simply with your email and a password.
Having set up your account you can download legal packs or if they are not yet available they will automatically be sent to you when we receive them.
You will be automatically updated by email if any new information is added.
There will be a note added to the list to confirm AUCTION PACK NOW COMPLETE when no further information is due to be added.
*** STAY UPDATED *** By registering for the legal pack we can ensure you are kept updated on any changes to this Lot in the build up to the sale.

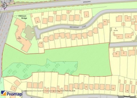
THE LAND

A Freehold 2.15 acres Building plot with a private Woodland and far reaching views from a commanding elevated position with access from a quiet cul de sac.

LOCATION

Weston Super Mare is a large coastal town located approximately 2 miles West of junction 21 of the M5 motorway providing excellent access to the motorway network with Bristol being approximately 24 miles to the North East.

THE OPPORTUNITY

PLANNING GRANTED - ECO HOUSE

Planning has been granted and works commenced ( Foundation / DPC Complete - refer to legal pack ) to erect a single storey 3 bedroom eco house with a private 2.15 woodland and far reaching views.

PLANNING GRANTED ( ON APPEAL )

Appeal Ref: APP/D0121/A/14/2224103
Land to the west of 45 Beechmount Drive, Weston-Super-Mare, North
Somerset BS24 9EZ
• The appeal is made under section 78 of the Town and Country Planning Act 1990 against a refusal to grant planning permission.
• The appeal is made by Mr Mark Dodgson, Custom Concepts UK Ltd, against the decision of North Somerset Council.
• The application, Ref. 14/P/0581/F, dated 28 February 2014, was refused by notice dated 27 June 2014.
• The development proposed is the erection of 1 No. detached single storey dwelling and the formation of vehicular and pedestrian access.

DECISION
The appeal is allowed and planning permission is granted for the erection of 1 No. detached single storey dwelling and the formation of vehicular and pedestrian access at Land to the west of 45 Beechmount Drive. Weston-SuperMare, North Somerset in accordance with the terms of the application, Ref. 14/P/0581/F, dated 28 February 2014, subject to the conditions in the attached schedule.

BUYER'S PREMIUM

Please be aware all purchasers are subject to a £1000 + VAT (£1,200 inc VAT) buyer's premium which is ALWAYS payable upon exchange of contracts whether the sale is concluded before, during or after the auction date.

GUIDE PRICE

An indication of the seller's current minimum acceptable price at auction. The guide price or range of guide prices is given to assist consumers in deciding whether or not to pursue a purchase. It is usual, but not always the case, that a provisional reserve range is agreed between the seller and the auctioneer at the start of marketing. As the reserve is not fixed at this stage and can be adjusted by the seller at any time up to the day of the auction in the light of interest shown during the marketing period, a guide price is issued. This guide price can be shown in the form of a minimum and maximum price range within which an acceptable sale price (reserve) would fall, or as a single price figure within 10% of which the minimum acceptable price (reserve) would fall. A guide price is different to a reserve price (see separate definition). Both the guide price and the reserve price can be subject to change up to and including the day of the auction.

RESERVE PRICE

The seller's minimum acceptable price at auction and the figure below which the auctioneer cannot sell. The reserve price is not disclosed and remains confidential between the seller and the auctioneer. Both the guide price and the reserve price can be subject to change up to and including the day of the auction.

PRE AUCTION OFFERS

Some properties may be available to buy prior to the auction.
Pre auction offers can be only submitted by completing the OFFER FORM which can be downloaded with the online legal pack - please email the COMPLETED form to – olly@hollismorgan.co.uk.
Please note offers will not be considered until you have VIEWED the property and the COMPLETE LEGAL PACK has been released.
You will be emailed a note to confirm the AUCTION PACK NOW COMPLETE and then offers can be submitted.
In the event of an offer being accepted the property will only be removed from the auction and viewings stopped once contracts have successfully EXCHANGED subject to the standard auction terms and payment of the buyer’s premium ( £1,200 ) to Hollis Morgan. Contracts can be signed either via the solicitors or at the Hollis Morgan offices subject to appointment.

SURVEYS AND VALUATIONS

If you would like to arrange a survey or mortgage valuation of this Lot BEFORE the auction please instruct your appointed surveyor to contact Hollis Morgan and we will arrange access for them to inspect the property. Please note that buyers CANNOT attend the surveys and the surveyors are responsible for collecting and returning keys to the Hollis Morgan offices in Clifton.

BIDDING AT THE AUCTION

This property is for sale by public auction and if you intend to bid please bring the following:

Proof of identity (valid passport or photo driving licence).
Proof of address (bank statement, recent utility bill, council tax bill or tenancy agreement).
10% deposit payment.
Buyers premium payment.
Details of your solicitor.

PAYING THE DEPOSIT & BUYERS PREMIUM

We can only accept the following at the auction:

Personal or Company Cheque
Bankers Draft
Debit Card ( NOT CREDIT CARD )

TELEPHONE AND PROXY BIDDING

If you cannot attend the auction (although we strongly advise you do) you can make a TELEPHONE or PROXY BID. This authorises the auctioneer to bid on your behalf up to a pre-set limit. Forms and relevant conditions are available to download with the online legal pack. A completed form, ID and two cheques (one for the 10% deposit and one for the Buyer's Administration Fee of £1,200) are required by the Auction Department at least two full working days before the auction.

AUCTION BUYERS GUIDE VIDEO

We have short video guides for both buying and selling by Public Auction on the Hollis Morgan Website. If you have any further questions regarding the process please don’t hesitate to contact Auction HQ.

WHY HOLLIS MORGAN?

Hollis Morgan regularly hold the largest property auctions across Bristol and the West Country from our iconic Sale Room in Clifton, since we formed in 2010 we have sold the most £££'s of land and property by Public Auction in the region - EVERY YEAR!
Between 2010 and 2017 we have held 45 auctions, offering 1135 lots and raising over £225m for clients across the region
Did you know….Hollis Morgan sold more £££’s of land and property by auction than all the other Bristol Auctioneers combined in 2017 with over £49m of successful sales!

TESTIMONIALS

We are very proud of what our past clients have say about us - please visit the Hollis Morgan website to read their testimonials.

CHARITY OF THE YEAR

Hollis Morgan are supporting Bristol charity based Off the Record! as our 2018 charity of the year with 5% of each buyers premium donated to help provide free and confidential mental health support and information to young people aged 11-25 in Bristol - www.otrbristol.org.uk In 2017 we were delighted to be involved in raising £30,000 over 3 events for the “Life for a cure” Bristol based meningitis charity - www.ryanbresnahan.org Visit the Charity page of our Website for further details - https://www.hollismorgan.co.uk/charity/


Local Information

Schools Stations Healthcare
Floorplan for PLOT - ECO HOUSE + WOODLAND Floorplan for PLOT - ECO HOUSE + WOODLAND Floorplan for PLOT - ECO HOUSE + WOODLAND Floorplan for PLOT - ECO HOUSE + WOODLAND Floorplan for PLOT - ECO HOUSE + WOODLAND Floorplan for PLOT - ECO HOUSE + WOODLAND