Sold @ Auction £130,000

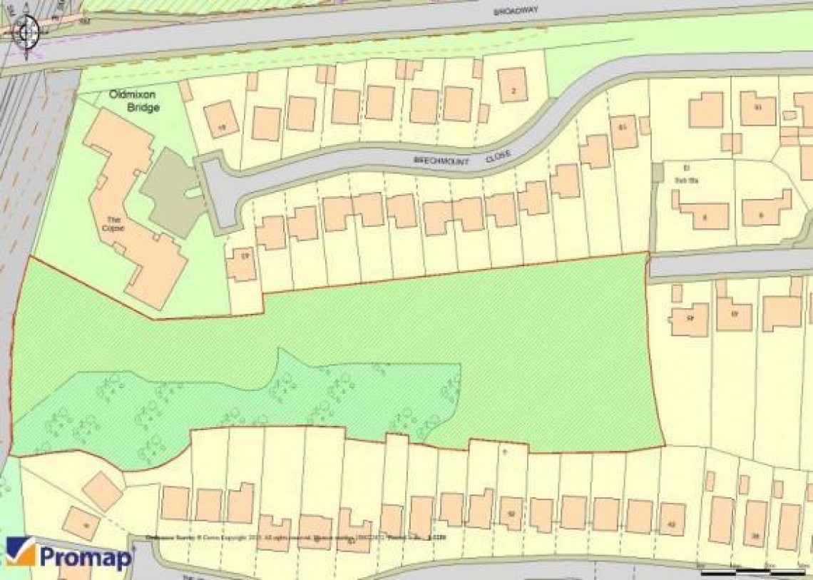
Land to the West of, 45, Beechmount Drive, Weston-Super-Mare, BS24 9EZ

Bedrooms 3 Bathrooms 2 Reception 1

  • FOR SALE BY PUBLIC AUCTION
  • WEDNESDAY 28th NOVEMBER
  • ALL SAINTS CHURCH, CLIFTON, BS8 2HY
  • WEEKLY SET VIEWINGS
  • DOWNLOAD ONLINE LEGAL PACKS
  • BUILDING PLOT - 2.15 ACRES
  • PLANNING GRANTED
  • ECO HOUSE
  • PRIVATE WOODLAND
  • EXTENDED 8 WEEK COMPLETION

FOR SALE BY AUCTION

*** SOLD PRIOR TO AUCTION ***

GUIDE £110,000 +++
SOLD @ £130,000

LOT NUMBER 36
Wednesday 28th November 2018
All Saints Church Pembroke Road, Clifton, Bristol BS8 2HY
Legal packs will be available for inspection from 18:00.
The sale will begin promptly at 19:00

THE LAND

A Freehold 2.15 acres Building plot with a private Woodland and far reaching views from a commanding elevated position with access from a quiet cul de sac.

LOCATION

Weston Super Mare is a large coastal town located approximately 2 miles West of junction 21 of the M5 motorway providing excellent access to the motorway network with Bristol being approximately 24 miles to the North East.

THE OPPORTUNITY

PLANNING GRANTED - ECO HOUSE

Planning has been granted and works commenced ( Foundation / DPC Complete - refer to legal pack ) to erect a single storey 3 bedroom eco house with a private 2.15 woodland and far reaching views.

PLANNING GRANTED ( ON APPEAL )

Appeal Ref: APP/D0121/A/14/2224103
Land to the west of 45 Beechmount Drive, Weston-Super-Mare, North
Somerset BS24 9EZ
• The appeal is made under section 78 of the Town and Country Planning Act 1990 against a refusal to grant planning permission.
• The appeal is made by Mr Mark Dodgson, Custom Concepts UK Ltd, against the decision of North Somerset Council.
• The application, Ref. 14/P/0581/F, dated 28 February 2014, was refused by notice dated 27 June 2014.
• The development proposed is the erection of 1 No. detached single storey dwelling and the formation of vehicular and pedestrian access.

DECISION
The appeal is allowed and planning permission is granted for the erection of 1 No. detached single storey dwelling and the formation of vehicular and pedestrian access at Land to the west of 45 Beechmount Drive. Weston-SuperMare, North Somerset in accordance with the terms of the application, Ref. 14/P/0581/F, dated 28 February 2014, subject to the conditions in the attached schedule.


Local Information

Schools Stations Healthcare
Floorplan for PLOT - ECO HOUSE + WOODLAND Floorplan for PLOT - ECO HOUSE + WOODLAND Floorplan for PLOT - ECO HOUSE + WOODLAND Floorplan for PLOT - ECO HOUSE + WOODLAND Floorplan for PLOT - ECO HOUSE + WOODLAND Floorplan for PLOT - ECO HOUSE + WOODLAND